KitKat
Mosaïque Chocolat Carrier Fluffy
ata Bb coco Dd Ee Mn SL Ii
Tests Génétiques & Santé pour:
Cystinurie type 3
Degenerative Myelopathy
Cataractes Héréditaires
Hyperuricosurie
Rétinopathie Multifocale 1
PRA Dystrophie du cône 4
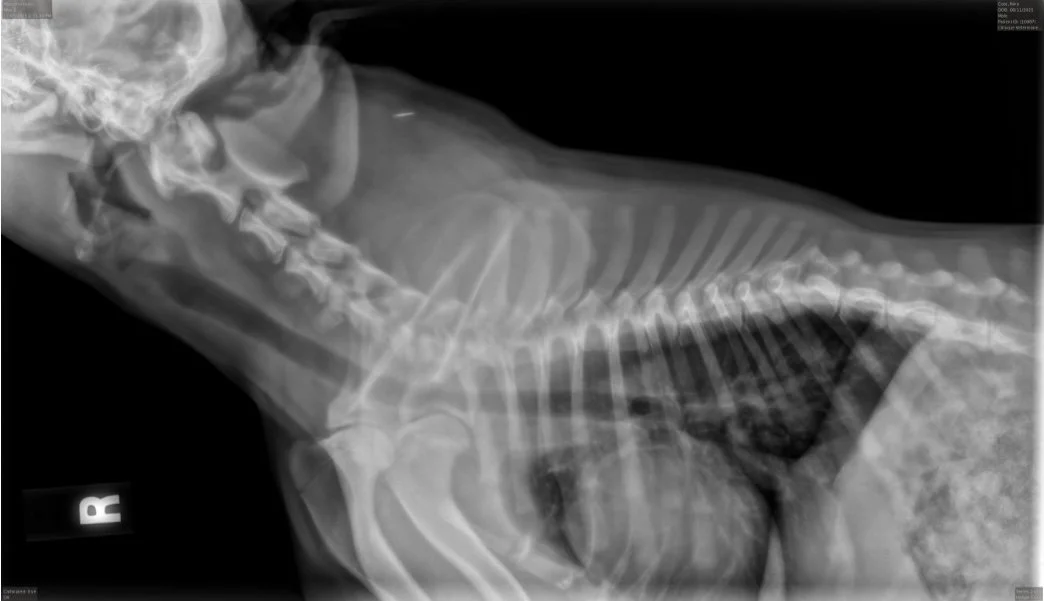
Testés OFA de la race pour Yeux, Hanches, Coudes & Colonne Vertébrale. Les prochains tests se font à l’âge d’un an.
Monsieur KitKat, est le petit d’Isabella de notre programme d’élevage. Avec ses magnifiques couleurs, il sera un avantage pour sa descendance. Nous sommes déjà impatients de découvrir les petits qu'il nous donnera en 2026.

